Antena 3 CNN Externe Taifunul Halong a ucis 10 persoane în Japonia. Furtuna se îndreaptă acum spre extremitatea estică a Rusiei

Taifunul Halong a ucis 10 persoane în Japonia. Furtuna se îndreaptă acum spre extremitatea estică a Rusiei

<1 minut de citit Publicat la 18:07 11 Aug 2014 Modificat la 18:07 11 Aug 2014
1.jpg
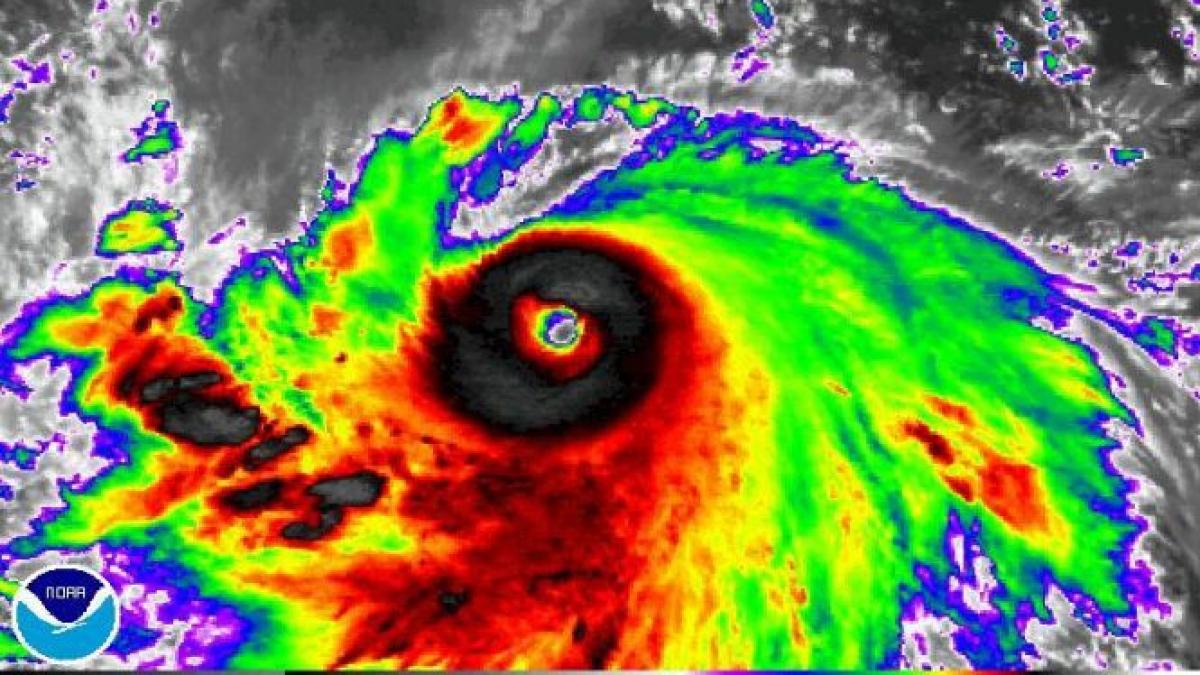
Cel puţin 10 persoane şi-au pierdut viaţa şi alte câteva zeci au fost rănite după ce taifunul Halong a lovit arhipelagul japonez în acest weekend, transmite AFP.

După ce furia naturii a făcut ravagii în cea mai mare şi cea mai populată insulă niponă, Honshu, taifunul s-a mutat în Marea Japoniei şi se îndreaptă acum cu o intensitate mai scăzută spre extremitatea estică a Rusiei.

Ştiri video recomandate
×

Fanatik

Antena Sport

Observator News

Longevity Magazine

Parteneri
x close