DEZASTRE NATURALE care cer INTERVENŢIE pentru schimbările climatice
Publicat la 19:19 02 Iul 2015
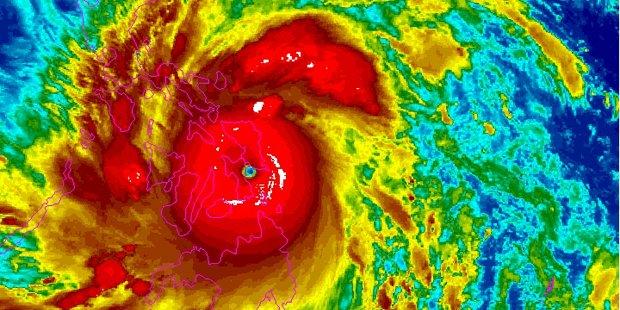
Taifunul Haiyan a fost cel mai puternic ciclon tropical din istorie. 11,3 milioane de oameni au fost afectaţi şi peste 700.000 de oameni au fost obligaţi să părăsească locuinţele.
Foto: NOAA Foto 1/5