"Ne pregătim pentru ce e mai rău". Un SUPER TAIFUN ar putea rade tot în cale. Japonia şi Coreea de Sud, în stare de alertă04 Aug
Sute de mii de persoane evacuate din calea dezastrului. Primul taifun a lovit cu putere în Filipine16 Iul
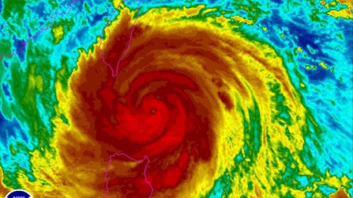
Imaginea dezastrului care se îndreaptă spre Japonia. Meteorologii le-au spus oamenilor să se pregătească pentru ce e mai rău07 Iul
AVERTISMENTUL ONU: Ne aflăm într-un moment crucial. Viitorul nostru depinde de ceea ce vom decide16 Noi
Guvernul ar putea trimite apă, pături şi corturi pentru sinistraţii taifunului Haiyan din Filipine13 Noi
Supravieţuitorii taifunului din Filipine jefuiesc morţii pentru hrană. "Ne-a luat orice demnitate. Facem lucruri înspăimântătoare pentru a supravieţui"10 Noi
"Toţi cei pe care îi cunoşteam au murit". Bilanţul provizoriu după trecerea taifunului Wipha prin Japonia18 Oct
Imaginea DEZASTRULUI surprinsă din satelit. Cel puţin 13 oameni au murit după trecerea taifunului Wipha16 Oct
Anunţul meteorologilor care a adus SPAIMA în Japonia. Ce se poate întâmpla la centrala nucleară de la Fukushima15 Oct
Bursa din China, ÎNCHISĂ, sute de curse aeriene, anulate. Urmările de coşmar ale celui mai puternic taifun24 Sep
Japonia, ameninţată de un nou taifun. Autorităţile au lansat o alertă de inundaţii şi alunecări de teren30 Sep
Hong Kong, distrus de taifunul Vicente. Peste 100 de persoane au fost rănite şi sute de copaci au fost rupţi24 Iul
Bilanţul taifunului Guchol din Japonia - un mort, peste 50 de răniţi şi numeroase pagube materiale20 Iun
Taifunul Roke a lovit Japonia. Patru persoane au murit, peste un milion sunt sfătuite să evacueze21 Sep
Bilanţul taifunului Talas a depăşi 100 de morţi şi răniţi: Este cea mai gravă catastrofă de acest tip din ultimii peste 30 ani07 Sep