Antena 3 CNN Externe Un uragan devastator a lovit SUA. Autoritățile au declarat stare de urgență. „Este grav!”

Un uragan devastator a lovit SUA. Autoritățile au declarat stare de urgență. „Este grav!”

<1 minut de citit Publicat la 11:52 02 Sep 2016 Modificat la 11:52 02 Sep 2016
uragan.jpg

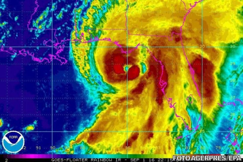
Nordul Floridei a fost lovit de uraganul de categoria a patra Hermine, care a adus rafale violente de vânt, dar și ploi abundente. Acesta este primul uragan care afectează acest stat american în ultimii 11 ani, relatează BBC News.

Autoritățile au declarat stare de urgenţă în 51 de comitate, în timp ce locuitorii se pregăteau să înfrunte această furtună periculoasă.

Urgamnul Hermine a adus rafale de vânt de 130 de kilometri pe oră, meteorologii avertizând că există riscul unor viituri. 70.000 de locuine au rămas fără curent electric. În localitatea Cedar Key, situată la sud de Tallahassee, fluxul a atins peste trei metri.

„Este grav, nivelul apei a crescut în multe locuri”, a declarat pentru Weather Channel şeful poliţiei din Cedar Key Virgil Sandlin. „Am fost aici în 1985, în timpul uraganului Elena şi nu-mi amintesc ceva atât de grav”, a subliniat el.

Citiți și: Statele Unite se pregătesc pentru un uragan de proporții

 

Ştiri video recomandate
×

Fanatik

Antena Sport

Observator News

Longevity Magazine

Parteneri
x close